ノヴァ・モルディブの旅行記は終了しましたが、ノヴァのハウスリーフに関する質問や検索が多いため、ハウスリーフとシュノーケリングについて個別にまとめました。
ノヴァのハウスリーフは、島を囲むように広がっています。

ここ10年ほど前から、地球温暖化による白化現象で珊瑚が消えてしまったリゾート島が増えていますが、ノヴァも珊瑚に大きなダメージを受けていました。
それでも、ハウスリーフのあちこちには新しい珊瑚がたくさん見られますし、ボロボロの珊瑚は海亀やブダイ、パウダーブルーなどの餌になるため、魚の種類や数が豊富で、大きな魚たちがよく肥えていて、栄養たっぷりで魚影の濃いハウスリーフだと感じました。
ハウスリーフの急な崖の部分はドロップオフ(リーフ・エッジ)と呼ばれ、人気のリゾート島ではこのドロップオフに多くの魚の種類や群れが見られることが一般的です。
しかし、ノヴァでは、滞在中の悪天候の影響も考えられますが、水上ヴィラ近くの防波堤の外側からドロップオフにかけての浅い珊瑚のエリア@イン・リーフで、さらに多くの魚の種類や群れを観察することができました。
参考までに、過去に訪れたリゾートの中で、ドロップオフだけではなくて、イン・リーフにもお魚さんが多くて楽しかったのは、Wモルディブ、ミライドゥ、ココア、ファールフシ、バロス、ハイダウェイ、フヴァフェンフシ、といった感じでしょうか。
魚影の濃いエリアについて
GMやダイブ・センターのガイドなど、ハウスリーフに詳しいスタッフ10数名の話をまとめると、天候や状況にもよりますが、一番魚影が濃いエリアは、アライバル・ジェッティから水上ヴィラの先端にかけてのドロップオフ(↓Aのエリア)と、水上ヴィラの防波堤からドロップオフにかけてのハウスリーフ内側である、イン・リーフと呼ばれるエリア(↓Bのエリア)の2箇所でした。

滞在中の強風と悪天候の中で、いくつかの場所で泳いだ結果、Bエリアが一番魚が多くて楽しめました。
悪天候にもかかわらず、Aのエリアのドロップオフにも魚の群れがいましたが、強風の時には特にBのエリアのイン・リーフに魚が避難していたようで、多い日はドロップオフの群れの数倍のお魚さんが見られました。
ノヴァのハウスリーフについてGMからの情報
GMはモルディブの観光業界でもかなりのベテランで、色々なリゾートに詳しいので、他のリゾート談義をした後、ノヴァのハウスリーフについて正直な感想を求めてみたところ。。。
2005年と2006年にヒルトンで働いていたGMは、その頃からノヴァのあるヴァカルファリ島にはツアーなどで頻繁に訪れていたそうです。
魚の数はその頃からほとんど変わらず豊富だそうですが、やはり珊瑚はモルディブ全体と同様に10年ほど前からの白化による影響が大きいので、ゲストに申し訳ないと悲しそうに語っていました。
珊瑚の白化は多くのリゾートで見られ、最初は驚きましたが、これまでの経験から美しい珊瑚があるハウスリーフでも魚の数が多いわけではないと判明した今では、美しい珊瑚よりも魚がたくさんいるリーフの方がずっと楽しいと感じているので、リーフの魅力をどんどんアピールしてくださいねと伝えました。
GMによると、水上ヴィラからスパやサプライ・ジェッティにかけて海亀が頻繁に見られ、サプライ・ジェッティからレストランにかけてはイルカがよく訪れるそうで、時折ハウスリーフにマンタやモビュラレイ(デビル・レイとも呼ばれるマンタを一回り小さくしたエイ)も現れたり、水上ヴィラの前ではよくイーグルレイが泳いでいることが多く、また、夜になると、サプライ・ジェッティの下にはイーグルレイ、スティングレイ、ナースシャークが集まり、ライトに引き寄せられたプランクトンや小魚を食べに来るそうです。
ダイビング・センターのオーストリア人ガイドからの情報
ダイビング・センターにシュノーケル・マップはないということで、口頭による説明でしたが、魚影が濃いエリアは、アライバル・ジェッティのドロップオフを右折してすぐのエリアと、左折して水上ヴィラまでがベストとのことでした。
アライバル・ジェッティを右折してすぐのエリアは珊瑚がボロボロで、ウツボや黒いお魚さんが結構いましたが、水上ヴィラに宿泊している場合は、わざわざ来る価値はそうないと思いました。
アライバル・ジェッティを左折してすぐのエリアは珊瑚がまあまあ綺麗で、ジェッティ周辺には常に沢山の群れがいました。
ジェッティから水上ヴィラに向けてドロップオフを流すと、途中で崖やスロープになったエリアがあり、スパから水上ヴィラの先端にかけてが魚影が濃い時が多かったです。
バア環礁にあるミライドゥやノーチラスのベスト・シーズンは、大勢のスタッフから2、3、4月と聞きましたが、ノヴァの元ダイブ・センターのガイドの話によると3、4、5月だったので、環礁によって違うんだなあと感じました。
ただ、10年ほど前から、地球温暖化による異常気象の影響で、エルニーニョやラニーニョが発生する時があり、エルニーニョが発生していた2023年後半から2024年前半にかけては特に影響を大きく受けたようで、ベスト・シーズンのずれ込みなどにも影響が及んだようでした。
2025年はラニーニャが短命で終わり、特に影響もなかったことから、2024年と比較すると悪くない感じの今年の春ですね。
もしかすると、このまま9月くらいまでエルニーニョやラニーニョが発生しないかも知れないという見立ての今なので、今年の春から秋にかけては、比較的穏やかな日が多いかも知れません。
ダイビング・センターのガイドだったハウスキーパーからの情報
私たちのヴィラの担当ハウスキーパーは、以前ヴァカルファリ時代にダイビング・センターで20数年働いていたスタッフでした。
ガイドをしていた当時は、ハウスリーフでのシュノーケル・ツアーの際には、よく水上ヴィラの先端付近のイン・リーフで行っていたそうで、凪の日のドロップオフも魚影が濃くて楽しいですが、昔から常に色々な種類のお魚さんが沢山いるのが↓黄色の線のエリアだと聞いて、後日確かめましたが本当にそうでした。

↑白い線のエリアは、海亀がよくいるとの情報でした。
ドロップオフへのアクセスについて
ノヴァのハウスリーフは、アライバル・ジェッティや水上ヴィラのデッキ、ビーチからのどこからでもアクセス可能ですが、一番簡単なのはアライバル・ジェッティの階段からでした。
風が穏やかで天気が良い時には、島を一周しながらドロップオフでシュノーケリングを楽しめると思いますが、私が訪れた2023年末は風が強く、悪天候の日が多かったため、ドロップオフで泳いだのは3回ほどで、全周する機会には恵まれませんでした。
アライバル・ジェッティを利用する際は、風や波がある時は階段からが便利で、波が穏やかな時はジェッティ右側にあるビーチからドロップオフへ繋がるパッセージ(チャネル)を通っていくと簡単に出入りできます。

曇りで濁っていた日には、パッセージがはっきり見えなくて不安でしたが、晴れた日にはビーチからドロップオフまでのパッセージがクリアに見えました。

↑防波堤と防波堤の間にあって、障害物がなく出入りしやすい形状なので、濁っていた時でも難なくドロップオフに出られました。
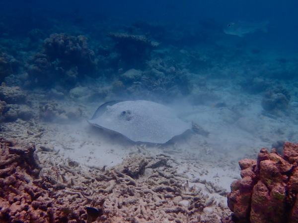
ビーチからのエントリーでは、浅瀬の砂地で濁っている中で、突然目の前をサメさんが通り過ぎることがあり、一瞬ドキッとします。

モルディブのハウスリーフで見かける、背びれの先が白や黒のリーフシャークと呼ばれる個体は、人間には興味がないため、私たちが攻撃しない限り安全だと言われています。
私もこれまでに100匹以上のサメを間近で見ましたが、何回かはすごく近くまで来て、観察されているように周回していたことはありましたが、襲われたことは一度もありません。
だからといって、しつこく追いかけ回したりすると、野生の生き物は予測できない行動をすることがあると思うので、注意が必要です。
ジェッティの右側にあるパッセージ(チャネル)は、ドロップオフまで特に見どころはありません。
安全に楽しむために、アライバル・ジェッティ周辺のドロップオフでは、スピードボートの往来に十分に注意してくださいね。

私の滞在中は、沖に向かってジェティの右側は、特に見どころはありませんでした。

スタッフからジェッティ周辺の珊瑚礁にウツボとタコがよく隠れていると聞きましたが、残念ながらタコは見つけられませんでした。

モルディブのウツボはサメと同様に、触れたり攻撃したりしない限り、人間に襲いかかることはまずありません。
実際、ハウスリーフの浅い場所で、知らず知らずのうちに隠れているウツボの近くを通り過ぎた際に、突然ガオガオー!と飛び出してきて、時には30cmほどの距離から威嚇されることもありましたが、一度も噛まれることはありませんでした。
アライバル・ジェッティにある階段について

階段を使うことで、砂の濁りで視界が悪い場所を避けられるため、隠れているウツボなどに驚かされることはありません。

ただし、足がつかない水深の深い場所なので、海で泳ぐのに慣れていない方には少しハードルが高いかもしれません。
アライバル・ジェッティ周辺のドロップオフについて
多い時は数種類のお魚さんの群れがいました。


運良く、非常に珍しいモビュラレイ(デビル・エイ)に出会えましたが、時々モビュラレイやイーグルレイをマンタと間違える人がいるので、もしかしたらモビュラレイもマンタと同じくらいよく見かけるのかもしれませんね。

私はどちらも大好きで、モビュラレイはあまり見たことがなかったため、とても嬉しかったです。
アライバル・ジェッティから水上ヴィラに向かうとすぐに、ドロップオフの近くに養殖珊瑚のフレームが見えてきます。
ヴァカルファリ時代には、2016年に地球温暖化による白化現象が起こる前までは、とても美しい珊瑚が辺り一面に広がっていたそうですが、現在はモルディブの多くのリゾートと同様に、カラフルな珊瑚は少なくなっています。
しかし、意外にも水上ヴィラの近くにある防波堤には、色とりどりの新しい珊瑚がたくさん見られました。
ドロップオフについて
水上ヴィラの前に差し掛かると、GMから聞いていた通り、ドロップオフの地形が洞窟のような形をしていて、ダイビングしたら楽しそうな感じでした。


滞在中は強風や雨の日が多く、波が高い日もあったので、ベスト・コンディションとは言えませんでしたが、ドロップオフにはいろいろな種類のお魚さんがいました。






オレンジ色のニモ・ファミリーもあちこちにたくさんいましたし、珍しいことに、ニモと親戚が同居しているシェアハウスもありましたよー(笑。


月の満ち欠けや潮の影響で、海の状態が良い日には、特に早朝から午前中にかけて、お魚さんの群れが海面近くに集まり、パクパクと大きく口を開けてプランクトンを食べる様子が見られました。

滞在中はずっと強風で風と波があったため、お魚さんはドロップオフの深いところに隠れていたり、ドロップオフからハウスリーフの内側であるイン・リーフに避難していることが多かったです。
イン・リーフ(ハウスリーフの内側)について
干潮時には、場所によっては珊瑚が高くて触らずに通れないところがあるため、水上ヴィラからドロップオフへの往復は、干潮から2時間以内は避けた方がいいかもしれません。

干潮時には、海面から珊瑚まで30cmを切る箇所もありましたよ。


満潮時で水深が深い時は、水上ヴィラからドロップオフまでの往来は、珊瑚に触れる心配もなく、楽々でしたよ。
ノヴァのハウスリーフは、ドロップオフよりも、水上ヴィラの周りにある防波堤の沖側からすぐ近くのイン・リーフの方が、お魚さんの種類も数も多くて楽しかったです。

何よりヴィラからすぐなので、いつでもさっと支度してすぐ着いて楽しめて、すぐ戻ってこれるので、食事やスパの合間などの短い時間にも楽しめて最高でした。

お魚さんがたくさんいる場所から、プール付き水上ヴィラがこんなに近くに見えました。

左側の小さなヴィラはスパで、右側のヴィラはスタンダードな水上ヴィラです。

プール付き水上ヴィラのドロップオフ側に滞在していましたが、デッキの階段を降りるとすぐに目の前に古い珊瑚を再利用した防波堤が広がっています。

防波堤の内側(水上ヴィラ側)は、高波の日でも比較的穏やかで、泳ぎやすかったです。

カギのハウスリーフは、珊瑚やお魚さんがいるイン・リーフの場所がメイン・ビーチ沖かレストラン前の水深が深いエリアに限られていて、海でのシュノーケリングが初心者に近かった友人は足が届かず、波もあって怖がってあまり楽しめなかったようでした。
ノヴァのハウスリーフは、水上ヴィラの近くの防波堤からすぐのイン・リーフが干潮時にはとても浅く、あまり泳ぎが得意ではなさそうな中国人カップルも安心して楽しんでいたので、初心者には泳ぎやすいリーフだと思いました。
沖に向かってイン・リーフを20mくらい進むと、お魚さんがうじゃうじゃいました。


嬉しいことに大好きなパウダーブルーの群れもいました。

そして大好きな海亀さんの遭遇率も高かったです。

水上ヴィラのすぐ近くの浅瀬について
水上ヴィラの近くにある防波堤周辺などの浅瀬で、お魚さんたちを間近で見ることができて非常に嬉しかったです。

通常、ドロップオフの深い場所にいるお魚さんたちが、同じ視線の高さにいるので、撮影がとても楽でした。







なんと、普段は浅瀬ではほとんど見かけない小エビやウミウシまでいました!

どちらも水上ヴィラの目の前にある防波堤の古い珊瑚の中に住んでいて、50cmくらいの浅瀬でウミウシにお目にかかれるだなんて、もう最高でした。

防波堤には、ウツボさんから珍しい生き物まで隠れていて、毎回宝探し感覚で楽しめました(笑。

防波堤には、新しい珊瑚の赤ちゃんがたくさん育っていて、ドロップオフ側よりも水上ヴィラ側の方が元気な珊瑚が多いように感じました。

干潮時には水深が50cm程度と浅くなることもあるため、足がつかない深い場所でのシュノーケリングが不安な初心者や泳ぎに自信がない方でも、安心して楽しむことができると思います。

浅瀬には新しく生えてきた貴重な珊瑚がたくさんあるので、フィンで蹴ったり珊瑚の上に立たないように十分注意してくださいね。

フィンで踏まれて折れた部分は死んでしまい、再生には数年から10数年もの長い年月がかかるそうです。
珊瑚に直接触れると怪我をすることがあり、皮膚が炎症を起こして痒みや痛みを感じることがあるそうなので、素手で触れないように注意してくださいね。

お魚さんの種類や数は、防波堤の水上ヴィラ側よりも、沖側(イン・リーフ側)の方が多かったです。

パウダーブルー玉について
天気が悪かった滞在後半は、波が穏やかな防波堤の近くにたくさんのお魚さんたちが避難していたようで、連日パウダーブルー玉に囲まれました。


高めの波が出ている日に遭遇率が高かったように思われます。


水上ヴィラからすぐ近くにある古い珊瑚を再利用した防波堤を一斉に突いて食べていました。

↑防波堤のあちこちに見える青や黄色の部分がパウダーブルーで、海中の写真と見比べてみてください↓


滞在中にパウダーブルー玉をよく見かけたのは、水上ヴィラ#207から219前の防波堤周辺(沖側/イン・リーフ側)でしたよ。

海亀さんとスティングレイについて
ノヴァに住んでいると思われるレジデンスの海亀さんは、目撃しただけでも5匹以上いました。

水上ヴィラの先端近くにある防波堤のイン・リーフ側は、ホークスビル・タートル(タイマイ)に出会う確率が高いエリアで、いつもたいてい2匹くらいが珊瑚を齧ったりしていました。

また、Bのエリア(水上ヴィラの防波堤からドロップオフにかけてのイン・リーフ)でも、たいてい1匹、多い時は3匹くらいに見ました。

甲羅が綺麗なグリーン・シー・タートル(アオウミガメ)は、臆病な性格みたいで、人間の姿を見ると逃げていました。
スティング・レイは、夜になるとサプライ・ジェッティの下にうじゃうじゃいましたが、昼間はサプライ・ジェッティ周辺の砂地のところや、水上ヴィラの防波堤を超えて20mくらい沖に向かったイン・リーフの砂地部分に隠れていることが多かったですよ。

ニモについて
ニモはオレンジ色の個体と白黒の個体の2種類がいましたが、ほとんどのニモはアライバル・ジェッティから水上ヴィラにかけてのドロップオフの深いエリアばかりでした。



プール付き水上ヴィラから沖に向かって真っ直ぐ進んだドロップオフには、巨大なニモ・マンションもありましたよ。


まだ他にもあるかも知れませんが、浅瀬で間近でニモ・カップルが観察できる箇所は、水上ヴィラの先端にある防波堤の4番目の端の部分です。

干潮時には水深が約50cmと浅いので、足がつかないと不安な方でも安心できると思います。

↓ニモ・カップルがいた箇所は、お魚さんのイラストのところで、水上ヴィラの先端から数えて4ブロック目と5ブロック目の防波堤の間の角にいましたよ。

悪天候時のハウスリーフについて
滞在中は、曇っていたり雨が降っていた時にもシュノーケリングしましたが。。。

海中はやや暗めも、お魚さんはいっぱいでした。

どうやら悪天候の際は、ドロップオフから防波堤近くのイン・リーフにお魚さんたちが避難してくるようでした。

悪天候や高波の時はハウスリーフでシュノーケリングするのが不安になることもありますが、ノヴァのハウスリーフは、気合いを入れたり覚悟を決めてドロップオフに行く必要がなく、水上ヴィラからすぐ近くでシュノーケリングが楽しめて、忙しい合間にも30分ほど気軽に楽しめる点が最高でした。
スパ脇のビーチに集まる小魚の群れとサメについて
スパの左側にあるビーチでは、毎日小魚の群れとそれを狙う小さなサメさんたちが見られます。
特に波が高い日には、小魚の群れが浅瀬に避難し、それを追いかける小さなサメたちの姿が楽しめました。
水上ヴィラのデッキからのエントリーについて
水上ヴィラのデッキにある階段は、緩やかなスロープで滑り止めが施されており、手すりも握りやすい木製なので、安心して楽に出入りできました。

防波堤がすぐ近くにあるため、階段の下のエリアは波が穏やかで、強風や高波の日には小魚たちが避難していました。

早朝、ヴィラの階段を降りて海に入ると、よく見かける光景がこちらです。

水上ヴィラの近くの砂浜を掘り返して、貝殻などを食べている様子が見られましたが、特に早朝から午前中にかけて、または夕方に出会うことが多かったです。

サメさんの数も多く、スパ脇のビーチのちびたサメから、普通サイズのサメまで、毎回シュノーケリング中に最低でも3匹くらい、多い時は10匹を超えました

またサメさんによく引っ付いている小判鮫も多く、サメさんに振り落とされてしまったのか、小判鮫に引っ付かれてしまい、困り顔のタイをよく見かけました(笑。

ノーチラスやカギの防波堤にはインドからの大きな石が使われていたため、お魚さんたちにとって少し違和感があるようで、防波堤の内側にはお魚さんの姿はあまり見られませんでした。

ノヴァの防波堤は古い珊瑚を使っているため、付着した藻を食べる海亀さんや古い珊瑚を齧るブダイ、パウダーブルーなど、さまざまなお魚さんたちが馴染みのある珊瑚の隙間に隠れたり住んでいました。

これまで多くのリゾートのハウスリーフで防波堤を見てきましたが、ノヴァの防波堤は他のリゾートもぜひ参考にしてほしいほど、サステナブルで、新しい珊瑚がよく育ち、お魚さんたちも増える、素晴らしい環境でした。
水上ヴィラのデッキの階段の可愛いちびたについて
毎回水上ヴィラの階段から上がる際の楽しみが、階段付近に住んでいたミリ単位の稚魚の群れでした。

数ミリとものすっごく小さい稚魚から、1、2cmほどのちびたが住んでいて、じっとしているとあまり逃げないのでマクロ撮影ができたり、よく観察できて楽しかったです。

ノヴァのハウスリーフの珍種について
ノヴァのハウスリーフには、珍しい個体がいくつかいました。

Google先生に聞いて見たところ、Koi Tangの仲間で、某水槽飼育オタクがモルディブから仕入れたようでPicasso sailfin Tangと名付けていて、とても珍しいお魚で世界中の水槽飼育オタクが大枚を叩いてオークションするほどの人気みたいでした。
こちらのサイトによると、こうした珍しいお魚さんは真菌などの感染症またはメラニン色素の異常か淡水魚の遺伝子を持っているのでは、という推測でした。
もしかしたら世界中の海が汚染され続けたり、地球温暖化の影響によって強い波や潮流に侵食などが起こり、海流が正常に動かなくなったり、珊瑚の白化によりプランクトンが激増したり酸性化したりといった様々な要因から生まれたのかも知れませんね。
上の記事によると、大金を叩いて手に入れたところでモルディブのハウスリーフとは全然異なる水質や条件下で飼育すると黄色が茶色に変わる可能性があると書いてあったので、それらに懲りてモルディブなどから密猟や乱獲が減ることを祈るばかり。。。

他にも、普段はあまり間近では見ることができないお魚さんの若魚もいて、成魚とは違う模様が観察できて楽しかったです。

ツバメウオの若魚は、スパの水上ヴィラの真下にいましたよー。

ラグーン・サイドについて
GMやスタッフは、バーとプールがあるビーチの前のエリアをラグーン・サイド(ラグーン側)と呼んでいましたが、悪天候や高波の日でも割と影響が少ないようです。

アライバル・ジェッティのドロップオフに強い波がある時は、遊泳禁止のレッド・フラッグが掲げられることがあります。
レセプションのスタッフに、ハウスリーフでシュノーケリングしたいというと、「今日はあまりシュノーケリングをお勧めできませんが、どうしても泳ぎたい場合は、ラグーン・サイドの防波堤周辺で十分に注意を払ってください。」と言われました。
私の経験では、ラグーン・サイドの防波堤の近くは泳ぎやすくて安全でしたが、防波堤から10mほど沖に出ると、イン・リーフの途中で時々強いカレントがある箇所があり、水上ヴィラに戻るのが難しいことがありました。
↓白い線の部分が、たまに強いカレントが発生していたエリアです。

↑黄色い線のエリアが、私がシュノーケリングを楽しんでいたエリアです。
滞在中の風向きや潮の流れにもよるかと思いますが、滞在中に安心して穏やかに楽しめたのは、水上ヴィラの#207から@223の防波堤の周辺と沖側に20mくらい進んだイン・リーフでした。

ラグーン・サイドの防波堤から、2、3m沖にあるイン・リーフには、たいてい1、2匹の海亀さんがいましたよ。

ラグーン・サイドでは、ビーチ・ヴィラのゲストがビーチからのエントリーで、ラグーン側の水上ヴィラのゲストはデッキからのエントリーで、シュノーケリングを楽しむ光景がよく見られました。

ラグーン・サイドの防波堤の近くでは、他のゲストとすれ違う際に目が合うと、手を振ってくれたり笑顔で挨拶してくれるので、時々立ち止まって、「何か見た?」とか「あそこにカメがいたよ。」という感じで、情報交換していました。
夜間サプライ・ジェッティに集まるスティングレイやナースシャークについて
GMから聞きましたが、サプライ・ジェッティ先端の照明に魅せられて集まるプランクトン目当ての小魚からの、小魚目当ての大きなお魚さんやスティング・レイ、イーグル・レイ、ナースシャークなどがうじゃうじゃ集まってくるんですよー。

話の通り、スティングレイがうじゃうじゃでした(笑。
ディナーの後にチェックしてみると、スティングレイだけでも10枚くらいと、言葉通りうじゃうじゃ集まっていて、色々なお魚さんの群れと一緒にジェッティ周辺をずっとぐるぐる回っていて、見ていて飽きませんでした。

また季節によるそうですが、夜、暗くなるとすぐにSPAと桟橋の間のビーチに夜光虫(生物発光プランクトン)が出現することがあると聞きました。
残念ながら滞在中は見つけられませんでしたが、見つけるコツとしては、暗いビーチの波打ち際をビーチサンダルを砂に擦り付ける感じですり足していくと、プランクトンが潰れた瞬間に青い光を放つので、もし機会があれば、ぜひ波打ち際をすり足で練り歩いてみてくださいね(笑。
ノヴァのツアーについて
ノヴァがある南アリ環礁は、人気のダイビング・スポットが沢山あったり、ジンベエザメやマンタの生息地に近いことでも有名です。
しかし、過去にジンベイザメのツアーでの経験や、デュシタニのハウスリーフのドロップオフで運よくジンベイザメに遭遇したことや、バア環礁でぐるぐるマンタを体験した後だったので、一度もツアーには参加しませんでした。
昔ジンベイザメのツアーに参加した際の投稿です。
デュシタニのハウスリーフでジンベイザメに遭遇した際の投稿です。
ハニファルベイで200枚超えのマンタとシュノーケリングした際の投稿です。
ノヴァのツアーの中でオススメなのは、サンセット・フィッシング・ツアーです。
釣りのポイントでは毎回マンタの群れとイルカの群れが見られるらしく、私たちは釣りよりもマンタとイルカに見惚れてしまい、最初こそ全く釣れませんでしたが、イルカが去った後半は大漁でした(笑。
まとめるのが苦手で、書き上げるのに時間がかかりましたが、と〜っても長い投稿になったので、最後まで読んでくださった方も、お疲れ様でした(笑。
全ての情報を記載したと思いますが、もし他に思い出したことがあれば、後日追加しますね。